Terreno en Venta – Av. Melchor Pinto

6144

Cod. Inmueble

Description

TERRENO COMERCIAL EN VENTA

馃搷Ubicado en Zona Este | Av. MELCHOR PINTO

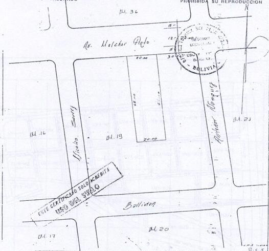
– 脷nico por su tama帽o y forma, ya que cuenta con 20 metros de frente con un fondo de 65 metros, sobre una de las avenidas m谩s concurridas de la ciudad, en la zona Este.

– Excelente para construcci贸n de un Mercardo Privado o cualquier otro desarrollo Inmobiliriario, ya que cuenta con el plano de uso de suelo, con certificaci贸n de Uso de suelo Mixto.

– Dimension y forma del Terreno:

– Superficie Total 1320 m2
– 20 de frente x 65 de fondo

PRECIO DE VENTA: 750.- x m2

馃搼 Documentaci贸n en orden, lista para entrega inmediata, no tiene deudas ni gravamen alguno, venta directa del propietario.

Address

Address: Ave Melchor Pinto, Santa Cruz de la Sierra, Bolivia
  • Neighborhood: ZONA ESTE
Open on Google Maps
  • Property ID 6144
  • Price $us 990,000
  • Property Type Locales Comerciales, Terrenos
  • Property status EN VENTA
  • Land area 1,320 m2
  • Label Disponible
  • Garages 10
https://www.youtube.com/shorts/zCQfM-aPkbs

Get Directions

Contact

Licette Terceros

Property Agent
78100536
licette.terceros@gmail.com
Other Properties

Inmuebles Similares